Dr. Dean Whitman, Florida International University (FIU)
Dr. Timothy Gubbels, Hughes Applied Information Systems (HAIS)
Dr. Grenville Draper, Florida International University
Linda Powell, Florida International University

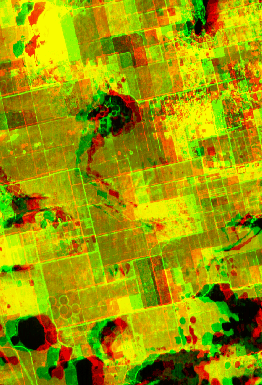
Spot Panchromatic image of Central Florida. Geographic locals include:
Lake Apopka (Upper Center); Orlando, FL ( Upper Right); Walt Disney World
(Lower Right). Colored boxes indicate the locations of the 3-D anaglyphs
shown below.
The 3-D anaglyphs shown below were produced from a Spot panchromatic stereo pair by performing a registerstration and rotation of the right image (acquired 2/26/96) to the left image (acquired 2/25/96). The right looking image was then displayed in red and the left looking image displayed in green. The anaglyphs may be viewed with standard red-green 3-D glasses.



whitmand@fiu.edu